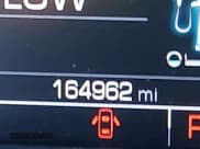
Dowiedz się więcej o tym 2018 Chevrolet Impala LT, dostępnym na aukcji IAAI jako lot 43442358 w Rincon, GA. Główne uszkodzenie: Bok. Deklarowany stan pojazdu: Odpala i rusza. Licznik pokazuje 164 962 mil. Chevrolet Impala Sedan jest wyposażony w silnik 2,5 L Benzyna, FWD oraz Automat. Sprawdź raport historii pojazdu dla 2G1105SA6J9154235, aby uzyskać szczegółowe informacje o wypadkach, właścicielach i statusie pojazdu. Przejrzyj trendy cenowe i ukryte wady przed złożeniem oferty.
Używamy cookies, aby poprawić jakość korzystania z serwisu, zgodnie z naszą Polityką prywatności. Zamykając komunikat lub kontynuując przeglądanie, wyrażasz zgodę.



























































