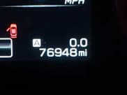
Dowiedz się więcej o tym 2022 Subaru WRX Premium, dostępnym na aukcji IAAI jako lot 43821508 w Bergen, NY. Główne uszkodzenie: Przód. Deklarowany stan pojazdu: Odpala i rusza. Licznik pokazuje 76 948 mil. Subaru WRX Sedan jest wyposażony w silnik 2,4 L Benzyna, 4×4 oraz Manual. Sprawdź raport historii pojazdu dla JF1VBAF60N9018007, aby uzyskać szczegółowe informacje o wypadkach, właścicielach i statusie pojazdu. Przejrzyj trendy cenowe i ukryte wady przed złożeniem oferty.
Używamy cookies, aby poprawić jakość korzystania z serwisu, zgodnie z naszą Polityką prywatności. Zamykając komunikat lub kontynuując przeglądanie, wyrażasz zgodę.





























































