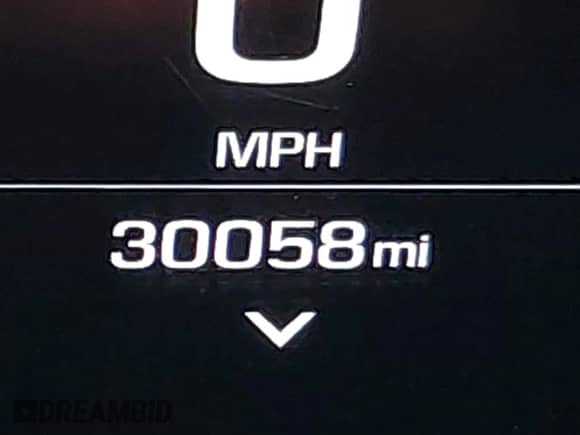
Узнайте больше о 2019 Chevrolet Camaro ZL1, представленном на аукционе IAAI в качестве лота #42638226 в Brandywine, MD. Основное повреждение: Угон. Заявленное состояние: Заводится и едет. Пробег: 30 058 миль. Синий Coupe Chevrolet Camaro оснащен двигателем 6,2 L Бензин. RWD, Автомат. Ознакомьтесь с отчетом о истории автомобиля по VIN 1G1FK1R60K0132012, чтобы получить подробную информацию о ДТП, владельцах и статусе. Изучите ценовые тренды и выявите скрытые проблемы, прежде чем делать ставку.
Мы используем cookie, чтобы улучшить ваш опыт и проанализировать использование сайта, как указано в нашей Политике конфиденциальности.





























































