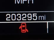
Узнайте больше о 2015 Chevrolet Silverado 1500 LT, представленном на аукционе IAAI в качестве лота 43290070 в Eminence, KY. Основное повреждение: Сзади. Заявленное состояние: Заводится и едет. Пробег: 203 295 миль. Синий Pickup Chevrolet Silverado 1500 оснащен двигателем 5,3 L Бензин. 4×4, Автомат. Ознакомьтесь с отчетом о истории автомобиля по VIN 3GCUKREC1FG415044, чтобы получить подробную информацию о ДТП, владельцах и статусе. Изучите ценовые тренды и выявите скрытые проблемы, прежде чем делать ставку.
Мы используем cookie, чтобы улучшить ваш опыт и проанализировать использование сайта, как указано в нашей Политике конфиденциальности.





























































