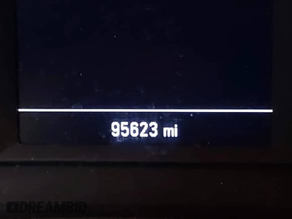
Узнайте больше о 2021 Chevrolet TrailBlazer LT, представленном на аукционе IAAI в качестве лота #43382417 в Phoenix, AZ. Основное повреждение: Сзади. Заявленное состояние: Не на ходу. Пробег: 95 623 миль. Коричневый SUV Chevrolet TrailBlazer оснащен двигателем 1,2 L Бензин. FWD, Автомат. Ознакомьтесь с отчетом о истории автомобиля по VIN KL79MPS21MB123378, чтобы получить подробную информацию о ДТП, владельцах и статусе. Изучите ценовые тренды и выявите скрытые проблемы, прежде чем делать ставку.
Мы используем cookie, чтобы улучшить ваш опыт и проанализировать использование сайта, как указано в нашей Политике конфиденциальности.



























































