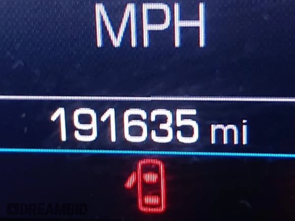
Узнайте больше о 2020 Chevrolet Equinox LT, представленном на аукционе IAAI в качестве лота 43458125 в West Chester, OH. Основное повреждение: Сбоку. Заявленное состояние: Заводится и едет. Пробег: 191 635 миль. Серебристый SUV Chevrolet Equinox оснащен двигателем 1,5 L Бензин. FWD, Автомат. Ознакомьтесь с отчетом о истории автомобиля по VIN 2GNAXJEV0L6195630, чтобы получить подробную информацию о ДТП, владельцах и статусе. Изучите ценовые тренды и выявите скрытые проблемы, прежде чем делать ставку.
Мы используем cookie, чтобы улучшить ваш опыт и проанализировать использование сайта, как указано в нашей Политике конфиденциальности.





























































