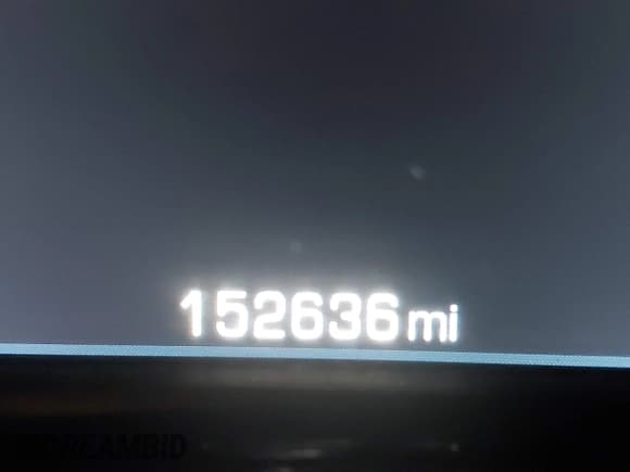
Узнайте больше о 2016 GMC Sierra 1500 SLE, представленном на аукционе IAAI в качестве лота 43459178 в De Soto, IA. Основное повреждение: Спереди. Заявленное состояние: Заводится. Пробег: 152 636 миль. Чёрный Pickup GMC Sierra 1500 оснащен двигателем 5,3 L Бензин. 4×4, Автомат. Ознакомьтесь с отчетом о истории автомобиля по VIN 3GTU2MECXGG160690, чтобы получить подробную информацию о ДТП, владельцах и статусе. Изучите ценовые тренды и выявите скрытые проблемы, прежде чем делать ставку.
Мы используем cookie, чтобы улучшить ваш опыт и проанализировать использование сайта, как указано в нашей Политике конфиденциальности.





































































