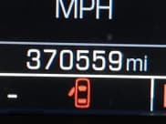
Find out more about this 2016 Chevrolet Silverado 2500HD LTZ, available at the IAAI salvage car auction as lot 43070165 in Greenwood, NE. This car has Front end main damage. It is listed with Not provided start condition code. Odometer shows 370,559 mi. This Black Chevrolet Silverado 2500HD Pickup is equipped with Diesel 6.6 L engine, 4×4 drivetrain, Automatic transmission. Check the vehicle history report for 1GC1KWE87GF124919 to access detailed information on accidents, ownership, and title status. Review pricing trends and uncover hidden issues before placing your bid.
We use cookies to improve your experience and analyze site usage, as outlined in our Privacy policy. By closing this message or continuing to browse, you consent to their use.



























































