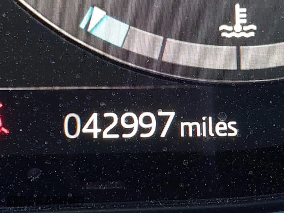
Dowiedz się więcej o tym 2023 Land Rover Range Rover Sport SE, dostępnym na aukcji IAAI jako lot 42637902 w San Diego, CA. Główne uszkodzenie: Bok. Deklarowany stan pojazdu: Odpala i rusza. Licznik pokazuje 42 997 mil. Land Rover Range Rover Sport SUV jest wyposażony w silnik 3,0 L Benzyna, 4×4 oraz Automat. Sprawdź raport historii pojazdu dla SAL1P9EU2PA109346, aby uzyskać szczegółowe informacje o wypadkach, właścicielach i statusie pojazdu. Przejrzyj trendy cenowe i ukryte wady przed złożeniem oferty.
Używamy cookies, aby poprawić jakość korzystania z serwisu, zgodnie z naszą Polityką prywatności. Zamykając komunikat lub kontynuując przeglądanie, wyrażasz zgodę.





























































