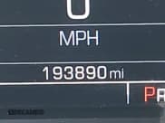
Узнайте больше о 2014 Chevrolet Silverado 1500 LT, представленном на аукционе IAAI в качестве лота 42232107 в Byron Center, MI. Основное повреждение: Со всех сторон. Заявленное состояние: Заводится и едет. Пробег: 193 890 миль. Синий Pickup Chevrolet Silverado 1500 оснащен двигателем 5,3 L Бензин. 4×4, Автомат. Ознакомьтесь с отчетом о истории автомобиля по VIN 3GCUKREC8EG427075, чтобы получить подробную информацию о ДТП, владельцах и статусе. Изучите ценовые тренды и выявите скрытые проблемы, прежде чем делать ставку.
Мы используем cookie, чтобы улучшить ваш опыт и проанализировать использование сайта, как указано в нашей Политике конфиденциальности.









































































