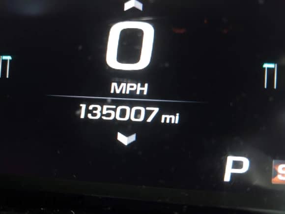
Узнайте больше о 2017 Chevrolet Camaro 2SS, представленном на аукционе IAAI в качестве лота #43191366 в Loganville, GA. Основное повреждение: Со всех сторон. Заявленное состояние: Заводится и едет. Пробег: 135 007 миль. Золотой Convertible Chevrolet Camaro оснащен двигателем 6,2 L Бензин. RWD, Автомат. Ознакомьтесь с отчетом о истории автомобиля по VIN 1G1FH3D76H0104346, чтобы получить подробную информацию о ДТП, владельцах и статусе. Изучите ценовые тренды и выявите скрытые проблемы, прежде чем делать ставку.
Мы используем cookie, чтобы улучшить ваш опыт и проанализировать использование сайта, как указано в нашей Политике конфиденциальности.































































