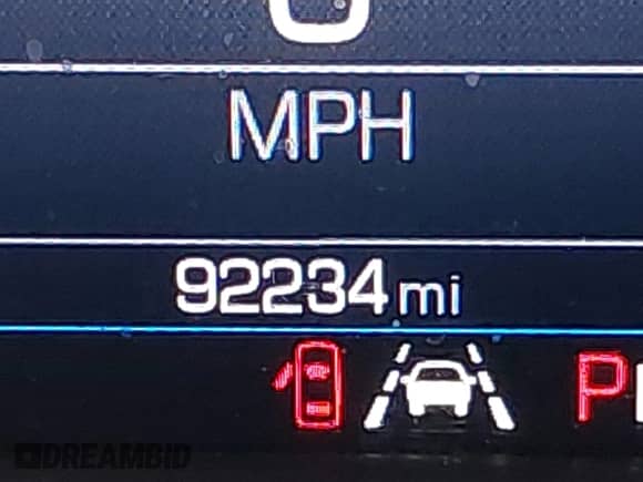
Узнайте больше о 2021 Chevrolet Equinox LT, представленном на аукционе IAAI в качестве лота #43266085 в Byron Center, MI. Основное повреждение: Сбоку. Заявленное состояние: Заводится и едет. Пробег: 92 234 миль. Серебристый SUV Chevrolet Equinox оснащен двигателем 1,5 L Бензин. 4×4, Автомат. Ознакомьтесь с отчетом о истории автомобиля по VIN 3GNAXUEV8MS120579, чтобы получить подробную информацию о ДТП, владельцах и статусе. Изучите ценовые тренды и выявите скрытые проблемы, прежде чем делать ставку.
Мы используем cookie, чтобы улучшить ваш опыт и проанализировать использование сайта, как указано в нашей Политике конфиденциальности.





































































