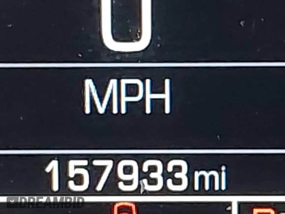
Узнайте больше о 2015 Chevrolet Silverado 2500HD LTZ, представленном на аукционе IAAI в качестве лота 43583882 в Puyallup, WA. Основное повреждение: Со всех сторон. Заявленное состояние: Заводится и едет. Пробег: 157 933 миль. Серый Pickup Chevrolet Silverado 2500HD оснащен двигателем 6,6 L Дизель. 4×4, Автомат. Ознакомьтесь с отчетом о истории автомобиля по VIN 1GC1KWE86FF572504, чтобы получить подробную информацию о ДТП, владельцах и статусе. Изучите ценовые тренды и выявите скрытые проблемы, прежде чем делать ставку.
Мы используем cookie, чтобы улучшить ваш опыт и проанализировать использование сайта, как указано в нашей Политике конфиденциальности.









































































